조황관리HOME / 조황관리 / 상세정보

제목 : 오늘은 씨알에 마릿수까지ᆢㅎ
등록일 : 2025-11-10



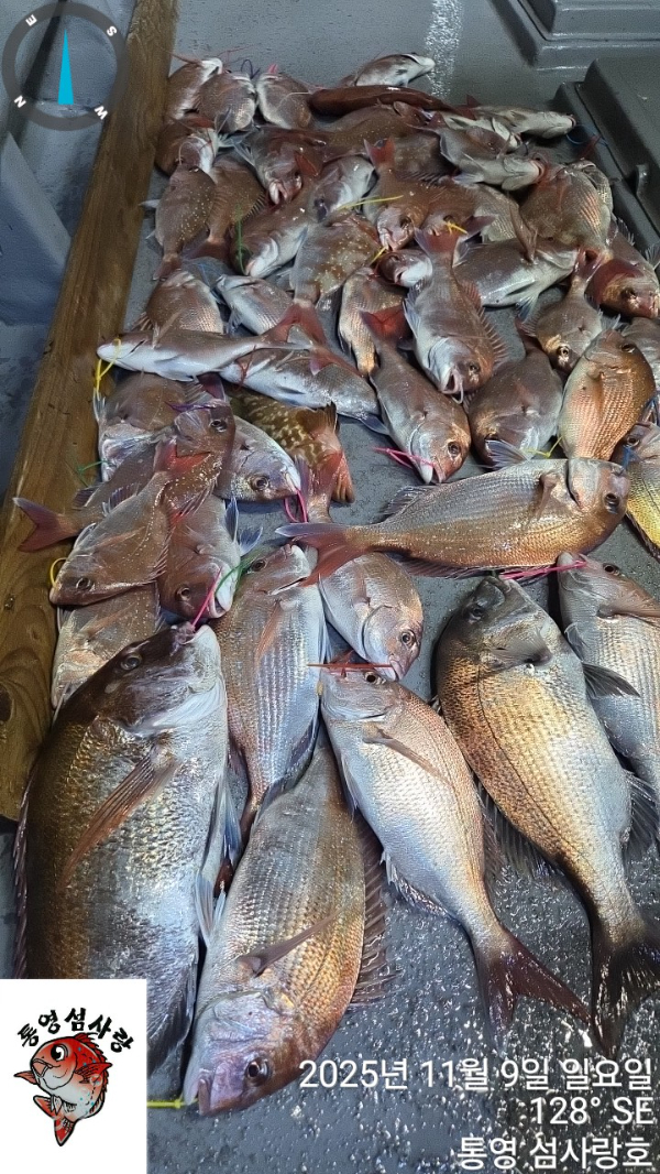
오늘은 오래만에 낚시하기 좋은 물흐름과 좋은
날씨에 더해 심심하면. 다문다문 물어주는 여건으로
오랜만에 한포인트에서 들,날물 낚시를 모두 

1000004400.jpg


1000004401.jpg

진행했읍니다
조과는 최고 18마리~2마리로 경험과 어복에 따라
편차가 큰것이 흠이라면 흠입니다 전체 60마리쯤
에  6자,5자,다수의 4자 까지 씨알도 나쁘지않은
오랜만에 재미난 낚시를 하고 왔읍니다ㅎ


=== 통영 섬사랑 예약안내 ===


예약문의 : 010-8579-9753

오시는길 : 경남 통영시 도남동645 금호마리나리조트 선착장

홈페이지 : http://islandlover.sunsang24.com/


모바일.jpg 


Top